L30 B10 Demeter Drive, Anchorage, AK 99515 For Sale

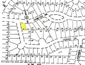
Property Description: Lot/Land/Acreage on L30 B10 Demeter Drive, Anchorage, AK state. This listing was added to our database on Nov 13, 2013. Listing was updated in 12/19/13. The general area of Lot/Land/Acreage is 20 - Dimond South. . Long Term Investment between Arctic & Minnesota near 96th Ave. West. 10,014 sq ft lot, zoned R1, roads are not in yet, paper platted subdivision, level lot, BTV all info.

L30 B10 Demeter Drive, Anchorage, AK 99515
L30 B10 Demeter Drive,
Anchorage, AK 99515 - Photo Gallery

Price:$18,500

Agent Details

  • Jack White Real Estate
  • Jack White Real Estate

Homes For Sale Details

  • Type: Lot/Land/Acreage
  • City: Anchorage
  • State: AK
  • Zip-Code: 99515
  • 18,500
  • Listed: Nov 13, 2013
  • Updated: Dec 19, 2013
L30 B10 Demeter Drive, Anchorage, AK 99515 home (12/19/13)
  • Additional Details

  • Area Size (SF): 20 - Dimond South
  • Building Details

Price: $18,500

Address:

L30 B10 Demeter Drive,
Anchorage
AK 99515

Contact me at: Coming Soon

NOTE: Property Information that situated on L30 B10 Demeter Drive, Anchorage, AK 99515 was obtained from reliable sources, but we cannot guarantee that all data about pricing, building details was completed without error or has not been changed without notice or deleted without notice. If you want to get complete and fresh information, please contact with real estate agents or Email Us about error, more info and etc (email listed below).

Map View: L30 B10 Demeter Drive, Anchorage, AK 99515