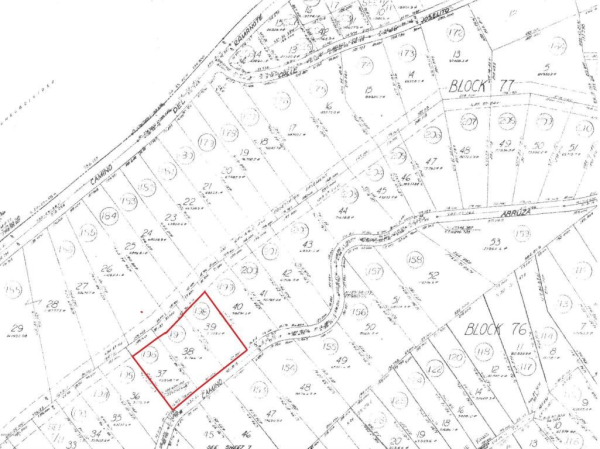
720- Camino Arruza, Rio Rico, AZ 85648 For Sale

Property Description: Vacant Land on 720- Camino Arruza, Rio Rico, AZ state. This listing was added to our database on Dec 10, 2013. Lots 37 and 38 are included in this sale. 1031 Exchange considered. Beautiful Mtn. views. Perfect for residential compound. Successful perk test which was done in 2004. Buyer must verify all and any information of concern at their expense. Survey info can be found with the county records. Electric at front of lots. Distance to nearest water main is +/- 400'. Water plant is #41. Pressure zone is 4100. Nearest fire hydrant is +/- .5 miles. No sewer main. Needs main extension.

720- Camino Arruza, Rio Rico, AZ 85648
720- Camino Arruza,
Rio Rico, AZ 85648 - Photo Gallery

Price:$55,900

Agent Details

Homes For Sale Details

  • Type: Vacant Land
  • City: Rio Rico
  • State: AZ
  • Zip-Code: 85648
  • $55,900
  • Listed: Dec 10, 2013
  • Updated: Dec 10, 2013
720- Camino Arruza, Rio Rico, AZ 85648 home (12/10/13)
  • Additional Details

  • Building Details

Price: $55,900

Address:

720- Camino Arruza,
Rio Rico
AZ 85648

Contact me at: Coming Soon

NOTE: Property Information that situated on 720- Camino Arruza, Rio Rico, AZ 85648 was obtained from reliable sources, but we cannot guarantee that all data about pricing, building details was completed without error or has not been changed without notice or deleted without notice. If you want to get complete and fresh information, please contact with real estate agents or Email Us about error, more info and etc (email listed below).

Map View: 720- Camino Arruza, Rio Rico, AZ 85648